
想当年学习植物学时,认识到了本学科的重要传统:遇到不认识的植物要踩在脚下。这样至少不会被问起,在女生面前丢脸。可惜这招对乔木不好用。
今天的主角是物种日历里为数不多的乔木。
马褂木、百合树,这乔木好认
万幸的是,鹅掌楸[qiū]Liriodendron chinense是我校园时代最喜欢的树之一。比起前两种今年已经介绍过的乔木(说的是<四照花>和<朱缨花>),鹅掌楸的中文名是在描述它的叶形。由于这鹅掌其实更像马褂,所以这种树也被广大群众亲切地称为马褂木。这个只看衣装而不用看脸(嗯,姑且把花称作植物的脸)因此抗脸盲的特征,让鹅掌楸即使不在花期也可以被轻易认出。不用在树上找挂牌就能顺口说出厉害的名称,感觉真好!

2011年秋北京植物园中的鹅掌楸落叶,一堆大大小小的马褂叠在沉醉于博物学情怀的背包上。来,记住这个长相的叶片,分享认识植物的快乐吧。图片:紫鹬
当然,光说出中文名还不够厉害,于是Liriodendron便成了我最先背熟的拉丁词之一,它的意思是“百合树”,加上种加词就成了L. chinense“中华百合树”(咦?)。每年五月,鹅掌楸偏绿色的花朵刚刚开放时确实略似百合,因为它看上去也是有六个花瓣。不过,鹅掌楸绿绿的“花瓣”应该叫做“花被片”,因为在鹅掌楸所属的木兰科植物中,还没有出现明显分化的花瓣和花萼,一朵花中不负责繁殖而起保护和辅助功能的变态叶片统称为花被。鹅掌楸有九枚花被片,分成三轮,里面两轮组成了略带橙黄色花心的“绿百合”,外轮开展的花被片则很像萼片。

“中华百合树”——鹅掌楸清新脱俗的绿色花朵,这样也能吸引到一只食蚜蝇来访啊。 图片:KENPEI / Wikimedia Commons
会飞的种子
和大部分木兰科成员一样,鹅掌楸的花蕊数量很多且都一圈圈地排成了螺旋形,中心的雌蕊排成的圆锥颇有点松果的样子。难怪人们很早就觉得作为早期版本被子植物的木兰科保留着裸子植物的特征,这可能就是其中之一。被子植物顾名思义,是指种子由真正的果实包被,它们也开出了“世上唯一的花”。鹅掌楸已经成了虫媒花,它开始用富余花粉和少量花蜜吸引昆虫,只是这种针对性不强的方式还没有培养出用户忠诚度,因此缺少特定物种作为传粉者。

再来一张鹅掌楸花特写,注意中间的圆锥形的雌蕊群以及周围长条形的雄蕊花药。图片:ashitaka / Flickr
与传粉不同,鹅掌楸的种子传播更自力更生。作为高达40米的乔木,它的种子可以自己从高处落下飞向远方。每年秋风卷起落叶之时,花中间雌蕊群发育成的圆锥形果实就会裂开,从中飘出长着翅膀的种子。它们可以竹蜻蜓般旋转着下降,轻盈地随风飘荡。这个古老的传播方法,如今许多不差身高的物种——比如裸子植物松树——还都在愉快地使用。

鹅掌楸的果在秋季裂开,散出长着一枚翅膀的种子。图片:Evan Chak / Flickr
古老血脉遇到传承危机
然而现在有个尴尬的局面:虽然列入国家二级保护植物,野生鹅掌楸的香火却有断绝的危险。如今存留的鹅掌楸种群西起越南,经云贵高原东部、大娄山、武陵山到达大巴山,在东边则困于长江中下游平原之间的山头“孤岛”上,大部分种群的天然结实率不足一成。这个锅传粉效率不背,即使人工往鹅掌楸雌蕊柱头上堆满花粉还是不能让它结更多种子,所以可能是遗传结构的问题。因此,鹅掌楸已经在IUCN红色名录上归类为近危。

鹅掌楸在中国的大致分布范围,主要位于南方中低山地。图片:紫鹬;数据来源:《中国植物志》。
好在鹅掌楸的引种栽培颇为成功,毕竟它的木材很受欢迎,又是倍受喜爱的园林树种。鹅掌楸可是有“活化石”称号的,本属细胞内的线粒体拥有许多在其它被子植物中都已消失的基因,那古老的木兰科血脉绽放过了恐龙的末日,又经历了喜马拉雅造山的轰轰烈烈和数次冰期的来来去去。人类真心不希望这样的物种在我们的时代逝去,琢磨着可以帮它做点什么。于是,育种工作者从遥远的北美洲请来了它的近亲。
让北美亲戚来杂交
北美鹅掌楸L. tulipifera的学名种加词和英文名(Tulip tree)都在描述它那郁金香形的花朵。它有更为橙红色的花心,闻起来还有点黄瓜味。在北美洲东南部的天然林中,这种树能长到50多米高。曾经北美原住民用它粗大的树干做独木舟,如今它是印第安纳和田纳西州的州树,也是北美重要的木材来源。由于它的生长状况不错,把它与鹅掌楸杂交,就得到了更易生长和造林的杂交鹅掌楸L. tulipifera x chinense。

北美鹅掌楸L. tulipifera的郁金香式花朵。呃,大概花还没开的时候更像真的郁金香吧。图片:Dcrjsr / Wikimedia Commons

花朵对比。左上为鹅掌楸,右为北美鹅掌楸,左下为杂交鹅掌楸。图片:余天一
于是问题来了:没开花的时候怎么区分鹅掌楸和北美鹅掌楸呢?呃,基本上,即使同一棵树上的叶子形状也各不相同。比较长成完全大小的叶片的话,鹅掌楸的“马褂”有收腰,而北美鹅掌楸的叶片较宽,像T-shirt。至于杂交鹅掌楸长什么样,还要看中美两方谁是爹谁是妈,比较麻烦,需要自己多看多体会才能分辨……日历上画的大概就是某杂交种……哎,算了,反正也踩不死……

仅供参考的成熟叶片形状对比:左为鹅掌楸,中为北美鹅掌楸,右为杂交鹅掌楸。图片:havlis.cz
抛开人为的杂交和园艺品种不谈,如今,鹅掌楸和北美鹅掌楸是这个长着奇特叶子家族硕果仅存的后代。为什么东亚的鹅掌楸找亲戚却只能找到北美东南?连北美西部似乎都更近一点吧?这个问题很多人都问过,独特的物种在东亚和北美东部竟然十分相似的现象,早在林奈的时代就引起了生物学家们的注意。渐渐地,在大家的努力追问下,它揭示了许多地球往事。
曾经有座北大西洋陆桥?
这要从约5550万年前的始新世之初说起。那时,随着新生的大西洋开始扩张,北美与亚欧大陆逐渐分手,而北大西洋还有陆桥藕断丝连。或许是大量火山活动让大气中二氧化碳浓度几千年中超过了1000ppm,地球上出现自恐龙灭绝后至今记录过的最暖气候(“古新世-始新世极热”,PETM)。当时,北半球高维度地区是许多热带物种的通道。

约5550万年前,人们假想德氏猴Teihardina凭借绵延的北热带森林,蹦蹦跳跳地从亚洲来到了北美洲。 图片:Smith / PNAS(2006)
为了描述那时的世界,《美国科学院院报》上的这篇文章也是蛮拼。它卖着萌却一本正经地讲述了一种长得像狨猴的早期灵长动物德氏猴(Teihardina)的伟大远征。今天要关注的是图上连绵的森林穿越了各块已初具今日雏形的大陆:鹅掌楸的祖先可能和银杏、水杉等其它活化石植物一起,占领了北半球各大陆的广阔区域,从特提斯洋畔到大西洋两岸(并不是猴子跳跃路线那样M形的),组成了独特的北热带植物群(Boreotropical Flora)。

早始新世(5400~4800万年前)的大致地理格局,可见北大西洋陆桥、大西洋与特提斯洋。地表颜色显示当时的气温比现代平均气温高出许多。模拟数据/图片:Lunt / NOAA(2012)
现今,中国西部的野生鹅掌楸比起东部种群仍然有更多类似北美鹅掌楸的特征,和产自冰岛的中新世鹅掌楸属化石一起,应该可以证实曾经连接北热带东西两头鹅掌楸属植物的通道是北大西洋陆桥。分子生物学的证据显示,鹅掌楸和北美鹅掌楸这两个物种分道扬镳的时间最迟为1300万年前。中新世晚期,北大西洋陆桥已不复存在,特提斯洋东边隆起了喜马拉雅山,而全球气候也一头转向干燥和寒冷。

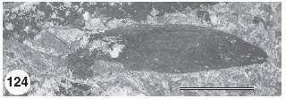
冰岛发现的中新世鹅掌楸属植物L. procaccinii种子化石。图中参考尺度为1厘米。图片:Denk / Botanical Journal of the Linnean Society(2005)
此后就是我们熟悉的剧情了:陆地的形状渐渐变成了现在的样子,气候继续变干变冷,广袤的草原成了新的优势植被类型,北方针叶林与苔原也开始扩张,曾经广布于北半球的热带和亚热带森林,撤退到互相孤立的温润山地。鹅掌楸在这样的避难所里保存着旧日的模样。进入第四纪,冰期与间冰期一轮轮反复,巴尔干和高加索避难所被冰川侵入,大量物种在欧洲消失,而智人最终走出了非洲,看到了星散于东亚和北美的鹅掌楸血脉传承者。

智人们看到了鹅掌……楸……<左边那位是?>绘图:翼狼Elang
故事讲回了今天,鹅掌楸仍和许多古老的动植物共享着中国南方大大小小的避难所。但愿这些地方不会在我们手中变得更加支离破碎,如此或许,它们还有足够的遗传多样性,未来再现那片古老的森林,而不是只能被后人知晓于园艺栽培的花木中。
日历娘の小广告

从细节开始
带你感受树的生命轨迹
点击“阅读原文”也可获取
物种日历
微信号:GuokrPac
有萌自远方来
不亦乐乎

有话想说?长按二维码关注我们,来留言吧
日历娘今日头像
木兰科 峨眉含笑
本文来自果壳网,欢迎转发,谢绝转载
如有需要请联系sns@guokr.com

